Anzeige

Heinz Strunk am 23. März in Dresden, Schauburg


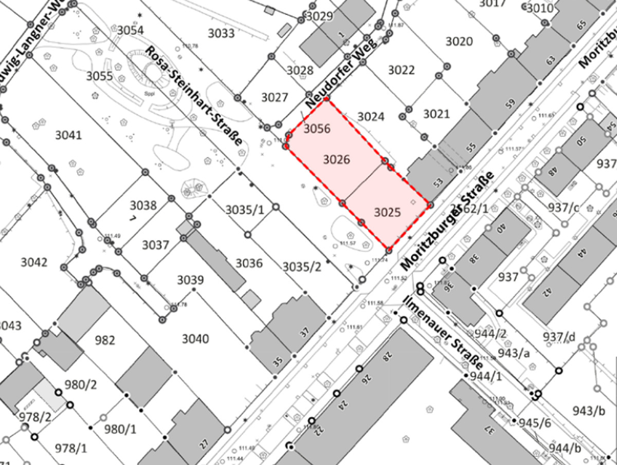
Städtische WiD plant zwei Häuser mit 29 Wohnungen in der Rosa-Steinhart-Straße

Der wilde Parkplatz in den Pieschener Melodien zwischen Moritzburger Straße und Neudorfer Weg ist bald Geschichte. Etwa 20 Autos finden hier täglich eine Parkmöglichkeit. Demnächst wird die städtische WiD Wohnen in Dresden hier zwei Mehrfamilienhäuser errichten. Die Stadtverwaltung hat dafür jetzt die Baugenehmigungen erteilt und bereits im Amtsblatt veröffentlicht.

In den beiden Häusern soll Platz für insgesamt 29 Wohneinheiten sein. Fünf Stellplätze und die Gestaltung der Freiflächen sind ebenfalls Bestandteil der Baugenehmigung.

Lageplan der geplanten Neubauten. Quelle: dresden.de

Das Areal, bestehend aus den Flurstücken 3025 und 3026, hatte Anfang 2021 den Eigentümer gewechselt. Es war Bestandteil eines Einlagenpaketes von 7 Grundstücken, die an die WiD übertragen wurden. Aufgabe der städtischen Gesellschaft ist die Schaffung von mietpreisgebundenem Wohnraum, der verteilt über das gesamte Stadtgebiet zur Verfügung gestellt werden soll.

Anzeige

Die Linke


Die WiD ist bereits seit Ende 2020 Eigentümerin von 327 Wohnungen und 30 Gewerbeeinheiten in Pieschen, die zuvor zur PSG Planungs- und Sanierungsträgergesellschaft gehörten. Seitdem hat die WiD in der Markusstraße 8 eine eigene Außenstelle.

Seit Abschluss der Neugestaltung des Areals zwischen Moritzburger Straße und Konkordienplatz im Mai 2017, das seit dem den Namen Pieschener Melodien trägt, sind hier bereits 52 neue Wohnungen gebaut oder die Pläne dafür bekannt geworden.

Für fünf Townhouses und sechs Wohnungen haben hier Bauvorbereitungen begonnen. Foto: W. Schenk

Am Hedwig-Langner-Weg ist ein Wohnhaus mit sechs Wohnungen entstanden. Gleich daneben beginnen jetzt die Bauvorbereitungen für die Errichtung von fünf sogenannten Townhouses und sechs Wohnungen. Heute wurden hier Bäume gefällt. Am Neudorfer Weg wohnen jetzt sechs Familien in einem Haus mit einer markanten Korkfassade und fröhlichen farbigen Briefkästen. Bis Ostern wollen die Bauherren der Baugemeinschaft „Rosa Melodien“ in ihre zehn Wohnungen einziehen. Gerade erst wurden hier die Balkone montiert.

16 Kommentare

  1. 29 Wohnungen und nur 5 Stellplätze? Kein Wunder dass alle über fehlenden Parkraum schimpfen. Wenn man davon ausgeht, dass vielleicht nur 50% der neuen Mieter ein KFZ haben, werden 15 Stellplätze benötigt, 5 werden gebaut, 20 fallen gleichzeitig weg.
    Hmm… ich kann mir nicht helfen, aber ich sehe hier nur Nachteile was den ruhenden Verkehr betrifft.

  2. An sich super Sache aber was ist mit den wohnungen die die WID übernommen hat, die müssten auch mal saniert werden.. Hab bei der WID den Zustand des Hauses angezeigt (risse, schimmel etc) angeblich wollte man sich bei mir melden, ist schon 1 Monat her. Bei der PSG hatte ich es auch schon 2 mal angezeigt und es wurde sich nicht darum gekümmert

  3. @ torsten: Das stimmt so nicht, es schimpfen beileibe nicht „alle“ über angeblich „fehlenden Parkraum“. Eine große Zahl an Bürgerinnen und Bürgern, welche z.B. ohne Auto leben, sind schon ewig diskriminiert durch ein gnadenloses Autoregime auf den Straßen. Das interessiert doch auch niemanden, gleichsam darf man nun nicht mehr hoffen, all seinen privaten Müll draußen im Öffentlichen Raum abzustellen.
    In vielen Städten und Ländern gilt sowieso: Wer keinen Platz bei sich hat, kann im Zweifel kein Auto mehr fahren. Ist für die große Mehrheit auch kein Problem, da fast nur aus Bequemlichkeit gefahren wird. Also einfach sich bei alljenen lieben Nachbarn bedanken, die den auf den PKW angewiesenen den Platz wegnehmen. Ist genauso ignorant, wie das oben Beschriebene gegenüber allen Nicht-Auto-Besitzern. Auch ganz einfach wäre, wenn du mal bei Lidl fragtest, ob die nicht übernacht den leeren Discounter-Großparkplatz für dich zur Verfüguing stellen – natürlich möglichst kostenfrei. Also ganz einfache Lösung direkt vor deiner Haustür. Viel Erfolg.

  4. @Dresdner Eierschrecke…
    wenn man Deinen Kommentar so liest….Kopfschüttel. Da hat doch einer glatt eine „Blechphobie“ .
    Vor allem solltest Du nicht verallgemeinern….von wegen „schimpfen beileibe nicht „alle“ .
    Kenne genug die schimpfen.

    Sollte es Dir an Kohle fehlen für ein Fahrzeug, dann……

    1. Nicht jeder der die Kohle für ein Fahrzeug hat, will auch eins. Es soll gar Menschen geben die genau darum in der Innenstadt wohnen, weil da ein PKW unnötig ist.

  5. Die Stellplätze sind vielfach auch ein Henne-Ei-Problem. Wenn gar nicht erst welche angeboten werden, müssen sich die Anwohner von vornherein eine andere Lösung überlegen. In eng bebauten Stadtquartieren ist schlicht nicht genug Platz für ein Auto je Wohnung, das kann nicht klappen. Gerade in Städten mit gutem ÖPNV und zunehmend Carsharing etc. müssen nicht alle ein Auto haben und wollen das auch nicht. Das ist keine Blechphobie, das ist gesunder Menschenverstand. Ich bin für die japanische Regelung: wer sich ein Auto anschaffen will, muss einen Stellplatz nachweisen. Das würde viele Probleme schnell beseitigen.

  6. Seit 2019 wächst die Dresdner Einwohnerzahl nicht mehr. https://www.dresden.de/media/pdf/statistik/Statistik_1201_11_E2012-1981_Melderegister.pdf
    Eine weitere Verdichtung ist nicht im Interesse der Anwohner, insbesondere im Ortsamtsbereich Pieschen. Die Wohnqualität sinkt Jahr für Jahr. Immer mehr Verkehr und Lärm in den Nebenstraßen (auch durch Buslinien), was gerade für die vielen Schichtarbeiter aus den Dresdner Norden immer mehr zum Problem wird.

  7. Was für ein Glück, endlich wieder mal paar Jahre Baulärm, weniger Platz für was auch immer und noch weiter steigende Mieten im Viertel. Die Belästigung der Anwohner durch Lärm und diese unerträglich hässlichen Neubauten ist ja noch nicht groß genug. Wenn das so weitergeht, ist die Lebensqualität in Gorbitz bald besser, als in Pieschen.

  8. 1) Ich sehe die stetige Verdichtung auch als problematisch an. In dem Fall ist der Spielplatz aktuell noch eine schöne Freifläche, bei der man auch den Blick mal schweifen lassen kann. Demnächst starrt man hier auf Hauswände und den neuen Bewohnern der Townhäuser direkt in die Wohnzimmer (freut euch übrigens an das ständige Türklingeln, weil wieder ein Ball im Garten gelandet ist).

    2) Ja ja, das ewige Dauerthema Parkplätze. Es gibt Leute die brauchen aus unterschiedlichen Gründen kein Auto, schön für sie und gut das dadurch weniger Parkraum benötigt wird. Es gibt aber auch Leute die brauchen ein Auto und hierfür muss eben ausreichend Parkplatz da sein.
    Interessant, dass angeblich immer mehr Leute auf das Auto verzichten und Carsharing oder das Fahrrad nutzen, es aber immer mehr Parkplatznot gibt. Irgendwie passt das nicht zusammen.

    3) 5 Stellplätze kommt mir auch arg wenig vor, wie da wohl gerechnet wurde? Aber okay, man kann es sich ja wirklich auf das absolute theoretische Minimum runterrechnen wenn man noch ein bisschen mit der Entfernung schummelt…. Aber ist klar, was interessiert die Investoren die Parkplatzprobleme der Anwohner.

    Auszug zum Thema benötigte Stellflächen:

    „So kann sich die Zahl der geforderten Parkplätze bei Wohngebäuden in unmittelbarer Nähe zu Angeboten des Öffentlichen Personennahverkehrs um bis zu 35 (Anmerkung: es sind 30) Prozent reduzieren. Bei Sozialwohnungen sieht der Entwurf einen Stellplatzschlüssel von 0,6 vor. Ein Carsharing-Stellplatz kann fünf normale Stellplätze ersetzen. Investoren, die komplett überdachte Fahrradabstellplätze errichten, müssen fünf Prozent weniger Parkplätze nachweisen.“

  9. In Dresden-Pieschen brauch man kein Auto. Der ÖPNV bietet ein breites Angebot. Mit „Teilauto“ und „Nextbike“, sowie Mietangeboten der ortsansässigen Fahrradhändler stehen genügend Mobilitätsangebote zur Verfügung. Ein privat genutzter PKW steht am Tag 22 bis 23 Stunden ungenutzt irgendwo herum. Deren Besitzer sind der Ansicht, für deren Bedürfnis muss allezeit und überall immer Platz sein, damit der private Mobilbesitz abgeparkt werden kann. Velleicht sollte man langsam mal umdenken?
    selbst in den Pieschner Melodien, die das Feigenblatt einer Spielstraße tragen, werden oft Autos wild auf eigentlich der Spielstraße zugehörigen Flächen abgeparkt. Man will ja nur wenige Schritte tun.
    Selbst Menschen ohne Auto subventionieren privaten PKW-Besitz über Steuern und Abgaben mit.
    Meine Kollegen fragen mich oft, wie ich den einkauf nach Hause bringe. natürlich mit dem Fahrrad, Bierkästen passen in den Fahrradanhänger hinein. Und Bau- und Gartenmarkt? Mit dem Fahrrad. Oder mit ÖPNV. Wird es größer, dann „Carl und Carla“. Also, alles kein Problem. Selbst Familien mit Kindern kommen gut ohne eigenen PKW-Besitz klar. Nein? Oh! Doch!

  10. @Helge
    Mag sein, dass das in ihrer Welt und der Welt ihrer Freunde funktioniert, das sit auch alles gut so, ich kenne es genau anders herum.
    Ja sicher, solange ich mich nur in Pieschen und angrenzenden Stadtteilen bewege mag das alles gehen, alles drüber raus wird schwer.
    Samstag abend, das Kind hat 39,5°C Fieber und man muss zum Notdienst -> eigenes Auto
    Dein Vorgänger im Teileauto hat (unentdeckt?) Corona? -> Glückwunsch
    Du willst (mit deinen Kindern) am Wochenende Sachsen entdecken und sie neues erleben lassen? -> eigenes Auto (mit Bus und Bahn erreicht man nur die Hotspots oder hat zu lange/keine Anfahrtswege)
    Du willst Individualurlaub machen und nicht nur nach Mallorca/Kreta/Hurghada fliegen? -> eigenes Auto (mieten exorbitant teuer)
    Du hast Arbeit die nicht gerade an einer Straßenbahnhaltestelle liegt? oder die Verbindung ist schlecht? Du trägst auf Arbeit Kleidung die fürs Fahrradfahren ungeeignet ist oder musst gar ausserhalb Dresdens pendeln? -> eigenes Auto

    Die Diskussion über Sinn und Unsinn eines eigenen PKWs ist ja schon alt und es gibt kein richtig oder falsch. Jeder sollte im Rahmen seiner Lebensgestaltung schauen, was für ihn passt und ob es vielleicht nicht umweltfreundlichere Alternativen gibt, zumindest dann, wenn es Sinn macht.

    Zumal das Thema „Steuern und Abgaben“ eine reine Nebelbombe ist. Zahlen Fahrradfahrer Spritsteuer? Zahlen Fussgänger eine KFZ-Steuer? Zahlen Radfahrer für die Benutzung von Straßen? Nein? Bekomme ich irgendwelches Geld vom Staat wenn ich ein KFZ kaufen? Alles Augenwischerei die nicht zielführend und nur Stimmungsmache ist.

    Fakt ist jedoch, dass es von der Stadt Dresden eine Vorgabe gibt, ein Stellplatz pro Wohnung, die schon recht niedrig für die Lebenswirklichkeit der meisten ist (wo parken Besucher?). Alleine schon weil es tausende „Alt-„Wohnungen gibt, die keine Stellplätze haben. Diese Vorgabe kann man nun aber jetzt noch so massiv weiter drücken, das Stellplatzprobleme vorprogrammiert sind. Und dieser Neubau ist den vorliegenden Informationen nach wohl ein Beispiel dafür. Wo sollen denn die Autos der neuen Anwohner hin? Auf die Moritzburger Straße wo jetzt schon kein Platz frei ist? Wo werden die Bewohner der Townhäuser und deren Besucher parken?

    1. > Zumal das Thema „Steuern und Abgaben“ eine reine Nebelbombe ist.

      Ja.

      > Zahlen Fahrradfahrer Spritsteuer?

      Ziemlich viele, ja. Wahrscheinlich alle zumindest indirekt.

      > Zahlen Fussgänger eine KFZ-Steuer?

      Selbe Antwort

      > Zahlen Radfahrer für die Benutzung von Straßen? Nein?

      Definitiv Ja

      > Bekomme ich irgendwelches Geld vom Staat wenn ich ein KFZ kaufen?

      kaufe – aber ja.

      > Alles Augenwischerei die nicht zielführend und nur Stimmungsmache ist.

      Tja.

  11. @ Rainer Witz: Sie scheinen sich ja ganz schön um die baldigen Bewohner der Townhouses zu sorgen, ich kann Sie gleich doppelt beruhigen, die Wohnzimmer der Townhouses gehen zum Lidl Parkplatz hinaus ( ich gehe davon aus, dass dort nicht so viel Ballgespielt wird) und es gibt für jede einzelne Wohnung einen Stellplatz in der unterirdischen Garage. Und ich kann aus eigener Erfahrung sagen, dass man auch als Vier-köpfige Familie nicht auf ein Auto angewiesen ist. Auch bei Fieber gibt es Taxis ;)

Ergänzungen gern, aber bitte recht freundlich.

Deine E-Mail-Adresse wird nicht veröffentlicht. Erforderliche Felder sind mit * markiert